Radiosarajevo.ba
Radiosarajevo.ba
90,2 FM
Otvori meni
Vijesti
  • Bosna i Hercegovina
  • Regija
  • Svijet
  • Crna hronika
  • Lokalne teme
  • Euphoria
Biznis
  • Ekonomija
  • Kompanije
Metromahala
  • Lica
  • Teme
  • Kultura
  • Ja mislim
  • Manjine.ba
  • Gdje izaći
Magazin
  • Zanimljivosti
  • Muzika/Film/Lektira
  • Tech
  • ShowBiz
  • Recepti
  • Zdrava probava
  • Život i stil
  • Forwardusha
Sport
  • Nogomet
  • Košarka
  • Rukomet
  • Tenis
  • Auto-moto sport
  • Zimski sportovi
  • Ostali sportovi
Auto-moto
  • Auto-Moto zanimljivosti
  • Noviteti
  • Testovi
  • Tuning
Multimedia
  • Foto
  • Video
  • Podcast S
Infografike
  • Političke infografike
  • Ostale infografike
Radio
  • Emisije
  • Aktuelno

/ uragan Irma

Turista preživio uragan Irma, pa poginuo kod kuće u saobraćajnoj nesreći
29.09.17. 11:37

Turista preživio uragan Irma, pa poginuo kod kuće u saobraćajnoj nesreći

Britanski mediji javljaju kako je Thomas bio na Floridi tokom septembra, kada je tu američku državu pogodio uragan pete kategorije. Imao je sreću da u prirodnoj nepogodi nije bio čak ni ozlijeđeno, nego se uključio u rad spasilačkih službi...

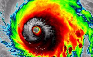
Snimka zapanjila svijet: Uragan Irma pokazala svoje lice
26.09.17. 17:57

Snimka zapanjila svijet: Uragan Irma pokazala svoje lice

Najsnažniji uragan koji je pogodio Atlantik, barem otkad postoje mjerenja, uragan Irma, koji je poharao Floridski poluotok, a na društvenim mrežama se tek sada počinju pojavljivati zastrašujući snimci uništenja koje je...

Izgubljeno sve što novac može kupiti: Uragan Marija poharao otok Dominica
19.09.17. 07:46

Izgubljeno sve što novac može kupiti: Uragan Marija poharao otok Dominica

Uragan Marija je tokom jučerašnjeg dana ojačao, postao izuzetno opasan te je prerastao u četvrtu kategoriji. On prijeti karipskom otoku Dominica, upozorio je američki Nacionalni centar za uragane.  Uragan je praćen vjetrom...

Časna sestra vješto barata motornom pilom i čisti posljedice uragana Irma
18.09.17. 14:26

Časna sestra vješto barata motornom pilom i čisti posljedice uragana Irma

“Vraćala sam se s ovog mjesta u samostan i ulica je bila potpuno blokirana. Automobili su se penjali na pločnik i gotovo se zabijali u zid. Shvatila sam da je potreban sigurniji prolaz, pa sam se vratila u školu, uzela motornu...

Nedugo nakon Irme, Karibi se spremaju za udar novog uragana
18.09.17. 09:42

Nedugo nakon Irme, Karibi se spremaju za udar novog uragana

Američki nacionalni centar za uragane saopćio je da je tropska oluja Maria prerasla u istoimeni uragan prve kategorije. Novi uragan predstavlja veliku opasnost za Karibe, a očekuje se da brzinom od 120 kilometara na sat pogodi tu regiju....

Irma je postala rekorderka: Uragan pete kategorije s najdužim trajanjem ikada
15.09.17. 07:54

Irma je postala rekorderka: Uragan pete kategorije s najdužim trajanjem ikada

Na svom putu preko Kariba i SAD Irma je ostavila trag, a prije nego je oslabila na nivo tropske ciklone uništila je nekoliko cijelih gradova na području zahvaćenom uraganom. Sa Univerziteta u Coloradu odlučili su nabrojati sve rekord...

Richard Branson ima plan za obnovu Kariba nakon Irme
14.09.17. 21:27

Richard Branson ima plan za obnovu Kariba nakon Irme

Uragan Irma nanio je ogromne posljedice američkoj obali i brojnim ostrvima. Irma je, između ostalog, opustošila i Karibe i uništila toliko biljaka da su ostrva promijenila boju. Da bi se šteta sanirala i ostrva Barbuda...

Ni uragan im ne može ništa: Kubanci plešu po poplavljenim ulicama
14.09.17. 09:58

Ni uragan im ne može ništa: Kubanci plešu po poplavljenim ulicama

Najgore su prošli mali karipski otoci, ali je i Kuba pretrpjela ogromnu štetu. Iako je najgore za Kubu prošlo, njeni gradovi su poplavljeni, a ulice pune ruševina. Ipak, ni to nije slomilo poznati kubanski duh p...

Zbog Irme nije radila klima: Umrlo petero ljudi u domu
13.09.17. 18:03

Zbog Irme nije radila klima: Umrlo petero ljudi u domu

Dvoje ljudi je umrlo u domu, a još troje u bolnici. U domu kažu da su danima zvali Power & Light da im poprave osigurač, ali se nisu javljali. Obdukcija će pokazati da li su ljudi umrli od vrućine ili zbog nekog drugog razloga,...

Snimci iz svemira pokazuju da je Irma "izbrisala" biljke i drveće
13.09.17. 13:08

Snimci iz svemira pokazuju da je Irma "izbrisala" biljke i drveće

Iz svemira, naime, Karibi se više ne vide u zelenoj boji, već su postali smeđi. Prekrasna priroda na tim je otocima doslovce nestala. "Oluja je počupala drveće i biljke. A dio njih je promijenio boju zbog velike količ...

Uništena četvrtina domova na otočju Florida Keys
13.09.17. 10:35

Uništena četvrtina domova na otočju Florida Keys

"U osnovi, svaka kuća na Keysu je osjetila posljedice", rekao je Brock Long, direktor američke Savezne agencije za elementarne nepogode (FEMA), prenosi AP. Dok radnici popravljaju jedinu autocestu koja povezuje ove otoke, stanovnicima...

Građani Floride se vraćaju kućama i zatiču uništene domove
13.09.17. 07:43

Građani Floride se vraćaju kućama i zatiču uništene domove

Gotovo četvrtinu domova zatekli su uništenim, a na fotografijama se vidi kako su se kuće prepolovile nakon što je područjem prošao uragan Irma brzinom od 192km/h. I brodice su potopljene,  Istraživački i spasilačk...

Nakon uragana Irma aligatori lutaju ulicama
12.09.17. 17:50

Nakon uragana Irma aligatori lutaju ulicama

Tako je u centru grada Melbourne, Florida, snimljen veliki aligator koji je prelazi cestu. Video su objavili vatrogasci, nakon čega je Ministarstvo zdravlja Florida pozvalo stanovnike da budu oprezni zbog divljih životinja koje su bježale...

Na Floridi 13 miliona stanovnika bez električne energije
12.09.17. 10:32

Na Floridi 13 miliona stanovnika bez električne energije

Oko 180.000 stanovnika nalazi se u privremenim smještajima. Zvaničnici navode da će saniranje štete na električnim stubovima možda trajati i sedmicama.  Najmanje četiri osobe izgubile su život na području Georgije i Južn...

Pogledajte kako izgleda otok prije i poslije udara Irme
12.09.17. 08:13

Pogledajte kako izgleda otok prije i poslije udara Irme

Fotografije je objavio astronaut američke svemirske agencije NASA Randy Bresnik na Twitteru, prenosi ABC News. “Kakve razlike za sedam dana”, napisao je Bresnik uz fotografiju. What a difference a week makes, Turks and Caico...

Irma i drugi uragani stižu s mjesta u kojem vladaju najveće suše
12.09.17. 07:56

Irma i drugi uragani stižu s mjesta u kojem vladaju najveće suše

Blizu Zelenortskih ostrva u Africi dolazi do “sudara” dvije potpuno različite pojave – vrućih suhih vjetrova koji dolaze iz Sahare i hladnijih i vlažnijih vjetrova koji dolaze sa vlažnih područja na jugu. Ovi nevjerovatno...

Uragan Irma ostavlja pustoš: Oko 6,5 miliona kuća na Floridi ostalo zatrpano
12.09.17. 07:54

Uragan Irma ostavlja pustoš: Oko 6,5 miliona kuća na Floridi ostalo zatrpano

U toku su operacije oslobađanja i inženjeri rade na pronalasku rješenja kako bi kuće bile sanirane, ali u mnogim područjima im to ne polazi za rukom. Uragan Irma kategorije 4 najviše je pogodio otoke Florida Keys, kao i zapad...

Uragan Irma približava se Alabami i Georgiji
11.09.17. 20:57

Uragan Irma približava se Alabami i Georgiji

Opasna oluja je pogodila gotovo čitavu Floridu, trgajući krovove, poplavljajući ulice i ostavivši milione Amerikanaca bez električne energije. Lokalne vlasti su navele da je najgore vjerovatno prošlo, ali upozorav...

Branson pokazao što je Irma napravila njegovom privatnom otoku
11.09.17. 16:39

Branson pokazao što je Irma napravila njegovom privatnom otoku

U duhu svoje poslovne politike koja podrazumijeva društvenu odgovornost u svakoj prilici, Branson je među prvima pružio pomoć unesrećenima, te pozvao svijet da uradi isto. Na svom blogu je napisao da je većina zgrada i vegetacije na...

Glumica Jennifer Lawrence za uragan Irma okrivila Donalda Trumpa
11.09.17. 16:14

Glumica Jennifer Lawrence za uragan Irma okrivila Donalda Trumpa

Glumica smatra da predsjednik treba preuzeti dio krivice za prirodne nepogode s biračima koji su skeptični oko globalnog zatopljenja. Holivudska se ljepotica sinoć pojavila na crvenom tepihu u Torontu na promociji svog novog filma Mother....

Uragan Irma oslabio, štete manje nego što se strahovalo
11.09.17. 16:10

Uragan Irma oslabio, štete manje nego što se strahovalo

Ipak, i dalje se bilježe povremene brzine vjetra i do 170 kilometara na sat, ali znatno slabije nego jučer.  Prvi izvještaji, navodi agencija, govore da nakon prolaska uragana štete na Floridi nisu tako velike kao &scaro...

Uragan Irma bi mogao preći u intenzivnu tropsku oluju
11.09.17. 09:15

Uragan Irma bi mogao preći u intenzivnu tropsku oluju

Intenzitet uragana koji jučer južne dijelove Floride pogodio brzinom vjetra od 210 kilometara na sat, smanjen je do druge kategorije. Iz američkog Nacionalnog zavoda za uragane saopćeno je kako je intenzitet uragana smanjen. Ipak, opasnost...

Florida Irmu dočekala i s malo humora: "Tamo je Sjeverna Koreja"
11.09.17. 08:05

Florida Irmu dočekala i s malo humora: "Tamo je Sjeverna Koreja"

Floriđani su Irmu, uragan koji je do sada uzeo najmanje 24 života, dočekali prkosno - brojnim porukama koje su ispisali na ploče kojima su zaštitili prozore svojih domova. Neki su samo iskazali naklonost omiljenom klubu, dok su...

 Uragan Irma uništio Floridu, pojavila se i dva tornada
11.09.17. 08:01

Uragan Irma uništio Floridu, pojavila se i dva tornada

Stanovništvo je upozoreno da se ne vraća još uvijek, jer postoji opasnost od bujičnih poplava koje je poharala Irma. And we woke up like this: #HurrcaneIrma #miami #irma pic.twitter.com/tWt8iNKkK1 — мαяgу &part...

/ Najčitanije

1

Puding-keks kolač koji svi traže: Bez pečenja, gotov za tren, a nestaje još brže

Prije oko 12h | Recepti
2

Poznati meteorolog najavio: Za 1. maj trebat će vam vatra, ne samo za roštilj, već i da se zagrijete

Prije 1 dan | Regija
3

Dragan Bursać: Marina, pravite treći entitet na teritoriji Republike Srpske!

Prije 1 dan | Ja mislim
4

Još danas uživamo u suncu, od sutra stižu pljuskovi sa grmljavinom: Pogledajte prognozu do 1. maja

Prije 2 dana | Bosna i Hercegovina
5

Rijetki uspiju: Možete li pronaći vjevericu koja se sakrila u parku?

Prije oko 20h | Zanimljivosti
6

Bećirović o skupu u Zagrebu i crtanju karte: "Ozbiljno narušavanje ionako krhkog mira!"

Prije 2 dana | Teme
7

U Italiji uhapšen srpski ratni zločinac: Skrivao se godinama pod lažnim imenom

Prije 2 dana | Svijet
8

Ovo je najsretniji znak Zodijaka u maju: Pred njim je period velikih promjena i sreće

Prije 1 dan | Zanimljivosti
9

Drug Mirze Čengića: "Nisu ozbiljno shvatili simptome, izmjerili su mu pritisak i pustili ga"

Prije 2 dana | Regija
10

Širi se front protiv zastave sa ljiljanima: Još jedna stranka iz BiH pisala FIFA-i

Prije oko 8h | Nogomet
11

Majka Mirze Čengića (35): "Poslala sam dijete da si zaradi za džeparac, vratili su mi ga u sanduku"

Prije oko 21h | Regija
12

Statistika šokira: Stariji biciklisti najugroženiji na njemačkim cestama

Prije oko 22h | Svijet
13

Historijska čitanka | Dr. Amir Kliko: Za one koji ne razumiju šta je "treći entitet"…

Prije 2 dana | Teme
14

Bećirović: "Nećemo dozvoliti nikakve linije razdvajanja i etničke podjele"

Prije 1 dan | Bosna i Hercegovina
15

Satko Mujagić: Sutra šaljem žalbu u Brisel zbog namjernih manipulacija Željane Zovko

Prije oko 23h | Bosna i Hercegovina

/ Najkomentiranije

1

Olakšajte sebi posao: Ofarbajte ogradu uz jedan običan predmet, puno je lakše

14.04.26. 20:17 | Život i stil
2

Puljić iz Washingtona: "Donald Trump želi biti iznad pape, ali to ne ide"

14.04.26. 20:37 | Svijet
3

DF na tribini u Sarajevu: "Trojka dobija otkaz u oktobru, vjerujemo u sebe, idemo na pobjedu"

14.04.26. 20:49 | Bosna i Hercegovina
4

Trump digao svijet na noge: "Spremite se, nešto veliko bi se moglo dogoditi u naredna dva dana"

14.04.26. 20:54 | Svijet
5

Kamera snimila: Mislio da je dupin, a onda se pojavila peraja i div od sedam metara u Jadranu

14.04.26. 20:58 | Regija
6

Jačanje partnerstva Austrije i BiH: Predsjednik Van der Bellen na Biznis forumu u Sarajevu

14.04.26. 21:06 | Bosna i Hercegovina
7

Hoće li odlazak Orbana pokrenuti istrage 'posebnih veza' Mađarske i RS?

14.04.26. 21:08 | Bosna i Hercegovina
8

Rasprodali Tuzlu u rekordnom roku: Zabranjeno pušenje zakazalo novi koncert

14.04.26. 21:08 | Muzika/Film/Lektira
9

Labradorica Duška Vujoševića rastužila sve: Tužnim pogledom ga ispratila na vječni počinak

14.04.26. 21:35 | Košarka
10

Brzo sušenje i lakše čišćenje: Najbolji način za održavanje drvenih podova

14.04.26. 21:58 | Život i stil
11

Promovirana knjiga "Jajačka" o slavnoj brdskoj brigadi Armije RBiH

14.04.26. 22:35 | Kultura
12

Jednostavan način za čišćenje air fryer uređaja: Potrebna su vam samo dva sastojka

14.04.26. 22:36 | Život i stil
13

Liga prvaka | Atletico Madrid nakon velike drame izbacio Barcelonu i prošao u polufinale

14.04.26. 23:00 | Nogomet
14

Tenzično sučeljavanje uživo na TV-u: Debata Minića i Stanivukovića - mnogo optužbi, malo rješenja

14.04.26. 23:01 | Bosna i Hercegovina
15

Oni su "premazani svim mastima": Horoskopski znak kojeg se svi trebaju paziti

14.04.26. 23:15 | Zanimljivosti
1 2
Naredna
Radiosarajevo.ba Radiosarajevo.ba
Marketing Impressum Kontakt Privatnost Uslovi korištenja
Copyright 2007. - 2026. radiosarajevo.ba. Sva prava pridržana. Zabranjeno preuzimanje sadržaja bez dozvole izdavača.
Copyright 2007. - 2026. radiosarajevo.ba.
Sva prava pridržana. Zabranjeno preuzimanje sadržaja bez dozvole izdavača.